মঙ্গলবার, এপ্রিল ১৪, ২০২৬

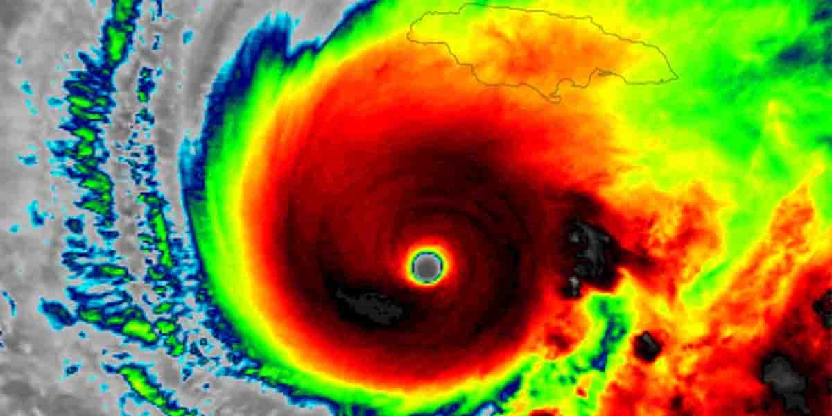
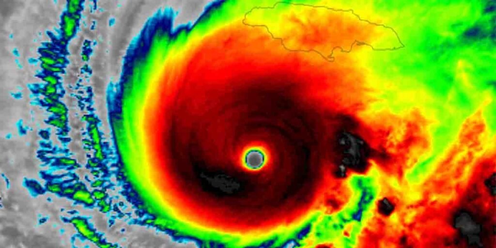
বিধ্বংসী ঘূর্ণিঝড় মেলিসার আঘাতে ক্যারিবীয় অঞ্চলে মৃতের সংখ্যা বেড়ে ৫০ জনে দাঁড়িয়েছে। বৃহস্পতিবার (৩০ অক্টোবর) পর্যন্ত ঝড়টি জ্যামাইকা, হাইতি ও কিউবায় ব্যাপক ধ্বংসযজ্ঞ চালিয়ে এখন বারমুডার দিকে অগ্রসর হচ্ছে।

যুক্তরাষ্ট্রের জাতীয় ঘূর্ণিঝড় কেন্দ্র (এনএইচসি) জানিয়েছে, বাহামার বন্যার পানি নামতে শুরু করলেও কিউবা, জ্যামাইকা, হাইতি ও ডোমিনিকান প্রজাতন্ত্রে জলাবদ্ধতা ও দুর্যোগ পরিস্থিতি অব্যাহত রয়েছে।

বিশ্ব আবহাওয়া সংস্থা (ডব্লিউএমও) বলছে, মেলিসা এ পর্যন্ত রেকর্ড করা সবচেয়ে শক্তিশালী ঘূর্ণিঝড়গুলোর একটি। ইম্পেরিয়াল কলেজ লন্ডনের এক গবেষণা অনুযায়ী, মানবসৃষ্ট জলবায়ু পরিবর্তনের কারণে এ ধরনের ঝড়ের সম্ভাবনা অন্তত চারগুণ বেড়েছে।

এনএইচসির তথ্যমতে, বৃহস্পতিবার রাতে বারমুডার কাছাকাছি এলাকায় ঘণ্টায় সর্বোচ্চ ১৫৫ কিলোমিটার বেগে বাতাস প্রবাহিত হয়। দ্বীপটিতে গ্রীষ্মমণ্ডলীয় ঝড়ের সতর্কতা জারি করেছে স্থানীয় সরকার।

জ্যামাইকার তথ্যমন্ত্রী ডানা মরিস ডিক্সন জানান, দেশটিতে এখন পর্যন্ত ১৯ জনের মৃত্যু নিশ্চিত হয়েছে। নিহতদের মধ্যে ওয়েস্টমোরল্যান্ড এলাকায় ৯ জন এবং সেন্ট এলিজাবেথ এলাকায় ৮ জন।

হাইতির বেসামরিক প্রতিরক্ষা সংস্থা জানিয়েছে, দেশটিতে মৃতের সংখ্যা বেড়ে ৩০ জনে পৌঁছেছে। আহত হয়েছেন অন্তত ২০ জন এবং নিখোঁজ রয়েছেন আরও ২০ জন। এক হাজারের বেশি বাড়িঘর প্লাবিত হয়েছে, ১৬ হাজারের বেশি মানুষ আশ্রয়কেন্দ্রে রয়েছেন।

কিউবা কর্তৃপক্ষ জানিয়েছে, সান্তিয়াগো দে কিউবা, হোলগুইন ও গান্তানামো প্রদেশের প্রায় ৭ লাখ ৩৫ হাজার মানুষকে সরিয়ে নেওয়া হয়েছে। ঘূর্ণিঝড়ের তীব্র বৃষ্টিতে বিদ্যুৎ সংযোগ বিচ্ছিন্ন হয়ে গেছে বহু এলাকায়।

বিশ্লেষকরা বলছেন, ক্রমবর্ধমান তাপমাত্রা ও উষ্ণ সমুদ্রপৃষ্ঠ মেলিসার মতো ঝড়কে আরও দ্রুত শক্তিশালী করছে, যা জলবায়ু সংকটের নতুন সতর্কবার্তা।

Share.
Exit mobile version